4620 W 56th Street, Indianapolis, IN 46254
  • $575,000
  • $575,000

Description

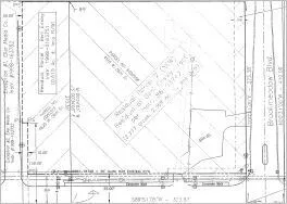
Three + acres ( combined from 2 parcels) with over 650 feet of frontage exposure on 56th Street. Property is visible from the intersection of 56th Street & Goergetown Road. Bordered by CVS and Marathon Gas Station (on the corner of 56th & Goergetown). Bordered by Brookfield Drive to the East , CVS access drive to the West & Brookfield neighborhood to the South . One of the only 3 acre+ vacant lots left on 56th Street. Plans for a 40,000 SF Medical Building on file. A prime location for several different uses near Georgetown Road. Street Lights on the East & West sides of property. partial tree line for sight block buffer between property and homes to the South. Sidewalks and storm sewers along 56th Street. Survey attached.

  • Address: 4620 W 56th Street
  • City: Indianapolis
  • State/county: IN
  • Zip/Postal Code: 46254
  • Area: No Subdivision

Details

Updated on August 16, 2024 at 5:06 am
  • Property ID 21980677
  • Price $575,000
  • Land Area 3.03 Acres
  • Garage Size x x
  • Property Type Commercial Land, Land
  • Property Status Expired

Additional details

  • Listing Terms Not Applic
  • Sewer Municipal Sewer Near
  • County Marion
  • Property Type Land

Mortgage Calculator

Video

Contact Information

View Listings
Preeti Chaggar

Enquire About This Property

0 Review

Sort by:
Leave a Review

Leave a Review

Compare listings

Compare