6494 Tapps Ridge Road, Vevay, IN 47043
  • $219,900
  • $219,900

Description

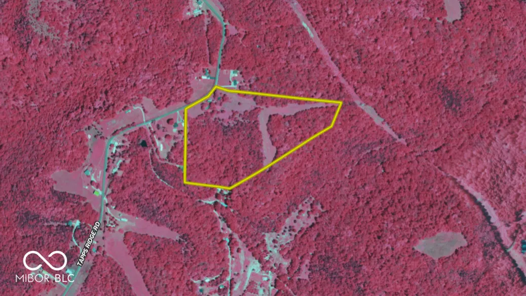
Excellent building lot, recreation tract, or hunting property located between Vevay and Florence, Indiana. This great tract on Tapps Ridge Road has public water, electric, and fiber optic available offering all the most popular utilities that most families would need for a home or camping trip. The property has a lot of hilltop surface and would have awesome views all around, possibly even have line of sight to the Ohio River. Switzerland County is known for great deer and turkey hunting and this property would be no different. The property has a large “L” shape field that follows the ridgetops and is approximately 3 acres +- of mowed grass. Looking south provides a view over 200 yards long, and looking east is nearly a 300-yard view! This could be great for a building lot or taking the kids hunting on opening day. There is an old metal hunting shack in the corner that has views in both directions. The wooded areas have walnut, oak, sycamore, and poplar trees. There is a .5 acre +- mowed grass area by the roadway and another 1 +- acre of mowed grass so all grassy areas combined total approximately 4.5 acres +-. This is an exciting opportunity to build in southeast Indiana or have somewhere to park an RV or camper. The Belterra Casino and Vevay are each only 10 minutes away, along with public access to the Ohio River. Just south of the river is the Kentucky Speedway and right up the road is the Sportsman Golf Course for those that like the greens. Many people are looking for a home with hunting opportunity out back or somewhere to build overlooking a large valley, this is a great chance to do just that. Property shown by appointment only to prequalified buyers.

  • Address: 6494 Tapps Ridge Road
  • City: Vevay
  • State/county: IN
  • Zip/Postal Code: 47043
  • Area: No Subdivision

Details

Updated on September 29, 2024 at 4:02 pm
  • Property ID 21992778
  • Price $219,900
  • Land Area 28 Acres
  • Garage Size x x
  • Property Type Residential Lots, Land
  • Property Status Closed

Additional details

  • Listing Terms Sell Entity
  • Sewer Septic Needed
  • County Switzerland
  • Property Type Land
  • Middle School Switzerland Co Middle School
  • High School Switzerland Co Senior High School

Mortgage Calculator

Contact Information

View Listings
Preeti Chaggar

Enquire About This Property

0 Review

Sort by:
Leave a Review

Leave a Review

Compare listings

Compare