W County Road 500 N , Holton, IN 47023
  • $860,000
  • $860,000

Description

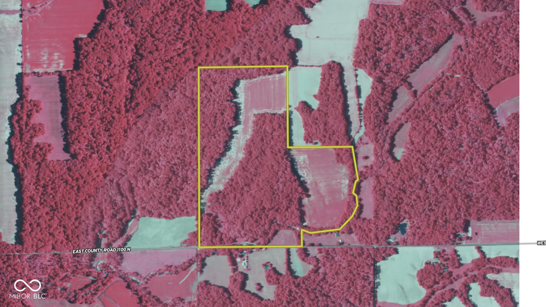
This rural tract near Osgood, Indiana features a combination of approximately 36 acres of tillable land-untouched for the past two years-and roughly 71 acres of wooded acreage. The tillable soils are predominantly silt loams with favorable ratings. The hardwood timber has been lightly harvested, allowing sunlight to spark new growth across the hillsides. The property offers multiple access points: three established roads enter from County Road 500 N (east, central, and west), with approx. 1,500 feet of road frontage. Electric and water services are readily available at the roadside. From the front, the parcel extends approximately 2,700 feet into the interior, providing a deep, private layout. A new survey dated December 2024 clearly defines acreage and property lines. Topography features two fields set back from the road, each offering secluded build sites with minimal visibility from the roadside. Nearly no neighboring homes are visible from these sites. The combination of fields, wooded edges, trails, and access roads creates an arrangement beneficial to hunting deer and turkey, affording quiet entries and exits to minimize disturbance to game. Along the southeast boundary, the property abuts Sugar Creek over approximately 2,200 feet. A limited floodplain zone-roughly 100 feet on either side of the creek-occupies only a small portion of the total acreage. Potential uses include new residential construction, farming, livestock operations, recreational hunting, and long-term holding or general investment. The blend of open and wooded ground, reliable infrastructure, and surveyed boundaries support a variety of rural land uses without overselling outcomes. Ripley County is home to Versailles State Park, with over 3,000 acres of forests, trails, and a 230-acre lake for fishing and boating. Nearby, Big Oaks National Wildlife Refuge spans more than 50,000 acres across several counties, offering public hunting, wildlife observation, and habitat for wildli

  • Address: W County Road 500 N
  • State/county: IN
  • Zip/Postal Code: 47023
  • Area: No Subdivision

Details

Updated on December 8, 2025 at 10:29 pm
  • Property ID 22056533
  • Price $860,000
  • Land Area 107.71 Acres
  • Garage Size x x
  • Property Type Land, Farm
  • Property Status Closed

Additional details

  • Listing Terms Sell Entity
  • Sewer Septic Needed
  • County Ripley
  • Property Type Land
  • Elementary School South Ripley Elementary School
  • Middle School South Ripley Junior High School
  • High School South Ripley High School
  • Waterfront Creek

Mortgage Calculator

Contact Information

View Listings
Preeti Chaggar

Enquire About This Property

0 Review

Sort by:
Leave a Review

Leave a Review

Compare listings

Compare