Norman Road, Norman, IN 47264
  • $129,000
  • $129,000

Description

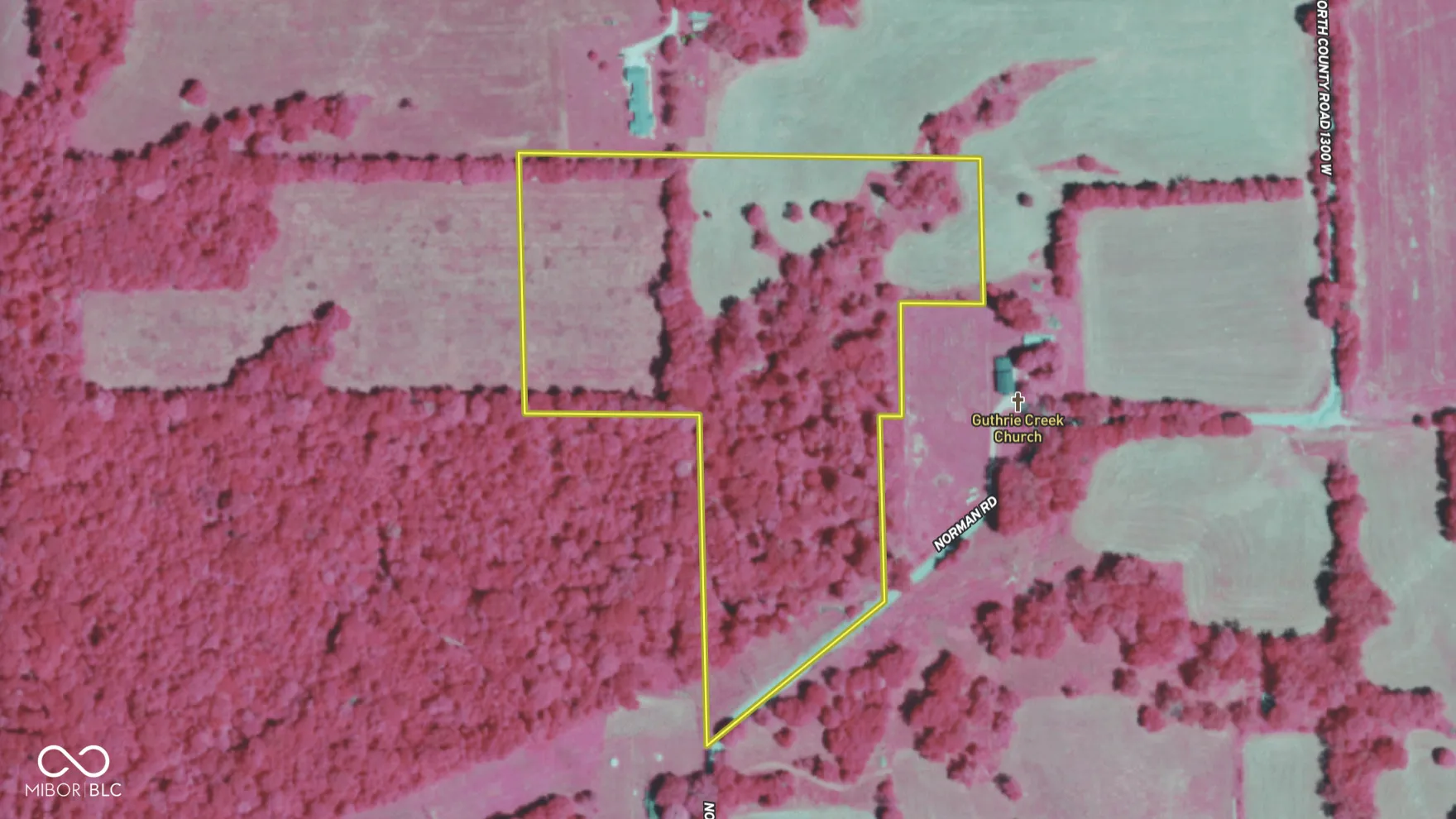
This T-shaped building site lies just off U.S. 50 between Brownstown and Bedford, Indiana, offering approximately 500 feet of road frontage along Norman Road. Electrical service is available at the road, making the property suitable for residential or agricultural development. The acreage includes a blend of dense vegetation, open pasture, and active crop ground, with roughly three acres in the northwest corner currently planted in soybeans. A power-line easement runs along the frontage and is periodically mowed by the maintaining authority, though future owners could choose to manage or manicure it as desired. Once a driveway is established, the rear portion of the property would accommodate a building site, hobby farm, or other residential use while still supporting agricultural or recreational activities. A creek flows along the southwest corner, but there are no floodplain concerns. The location is highly convenient for those commuting or traveling to nearby towns. Brownstown and Bedford are both within easy reach, while Seymour offers additional employment, shopping, and services a short drive away. Outdoor opportunities are extensive in this part of Indiana. Hoosier National Forest is scattered throughout the region, providing hunting and recreation access. Additional public lands nearby include Yellowwood State Forest, Jackson-Washington State Forest, and the Austin Bottoms area. Lake Monroe, Charles Deam Wilderness, and other regional recreational areas are also close at hand, offering boating, camping, hiking, and wildlife viewing. With its combination of open farmland, wooded acreage, pasture, and utility access at the road, this tract offers versatility for homesteading, small-scale farming, or recreation in a location central to multiple communities and public lands.

  • Address: Norman Road
  • City: Norman
  • State/county: IN
  • Zip/Postal Code: 47264
  • Area: No Subdivision

Details

Updated on September 25, 2025 at 10:54 pm
  • Property ID 22057156
  • Price $129,000
  • Land Area 15.36 Acres
  • Garage Size x x
  • Property Type Land, Farm
  • Property Status Closed

Additional details

  • Listing Terms Not Applic
  • Sewer Septic Needed
  • County Lawrence
  • Property Type Land

Mortgage Calculator

Contact Information

View Listings
Preeti Chaggar

Enquire About This Property

0 Review

Sort by:
Leave a Review

Leave a Review

Compare listings

Compare