6803 S Ott Road, Connersville, IN 47331
  • $474,900
  • $474,900

Description

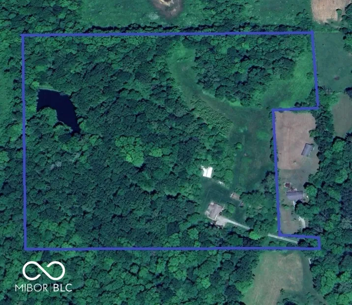
Discover nearly 30 acres of mixed pasture and mature woods, offering the perfect balance of open land and natural beauty. The property features a well-stocked pond with largemouth bass, bluegill, and hybrid bluegill, supported by two pumps, an aeration system with three bubblers, and new impellers installed in July 2025. Additional outdoor highlights include a frog pond with waterfall pump, multiple springs, and an orchard with over 100 black walnut trees, 24 hazelnut bushes, fruit trees, and berry bushes. Approximately 22 acres of mature forest remain untouched for more than 40 years. Outbuildings include a Morton pole barn with 10′ sliding doors on 30′ ends and lean-to, a 14×32 livestock barn, a 28×32 structure with 9×28 concrete slab previously used for game birds, a 12×24 greenhouse, a 20×48 hoop greenhouse with new 10mm vinyl cover, an 8×12 poly shed, 8×18 wood storage building, three-car carport, underground storage cellar, and multiple beehives. A Generac whole-home generator, spring-fed 1,000-gallon cistern, and privacy gate at the entrance add peace of mind. The 2,332 sq. ft. home offers a warm, comfortable living space featuring a wood-burning fireplace with chimney and insert, vinyl-clad windows, and a sealed basement crawl space (2021) with transferable warranty. Recent upgrades include new carpet and linoleum (2024), newly painted interior (2024), new sliding glass door (2024), new PEX water lines with freeze-proof outdoor faucets (2024), new circuit breaker boxes and circuits, leaf guard lifetime gutters, and all new window screens (2024). Appliances include a stove, refrigerator, two freezers, new washer, dryer, and pool table. Fiber optic internet through Spectrum provides reliable, high-speed connectivity. This versatile property is ideal for homesteading, recreation, or simply enjoying the privacy and beauty of a self-sustaining lifestyle

  • Address: 6803 S Ott Road
  • City: Connersville
  • State/county: IN
  • Zip/Postal Code: 47331
  • Area: No Subdivision

Details

Updated on November 19, 2025 at 10:09 pm
  • Property ID 22064141
  • Price $474,900
  • Property Size 2332 Sqft
  • Land Area 29.23 Acres
  • Bedrooms 3
  • Rooms 6
  • Bathrooms 2
  • Garage Size x x
  • Year Built 1975
  • Property Type Single Family Residence, Residential
  • Property Status Closed

Additional details

  • Utilities Electricity Connected,Septic System
  • Cooling Central Air
  • Heating Forced Air
  • County Fayette
  • Property Type Residential
  • Middle School Connersville Middle School
  • Waterfront Dock,Pond,Water View
  • Architectural Style Ranch

Features

Mortgage Calculator

Contact Information

View Listings
Preeti Chaggar

Enquire About This Property

0 Review

Sort by:
Leave a Review

Leave a Review

Compare listings

Compare