S County Road 200 E , Commiskey, IN 47227
  • $557,000
  • $557,000

Description

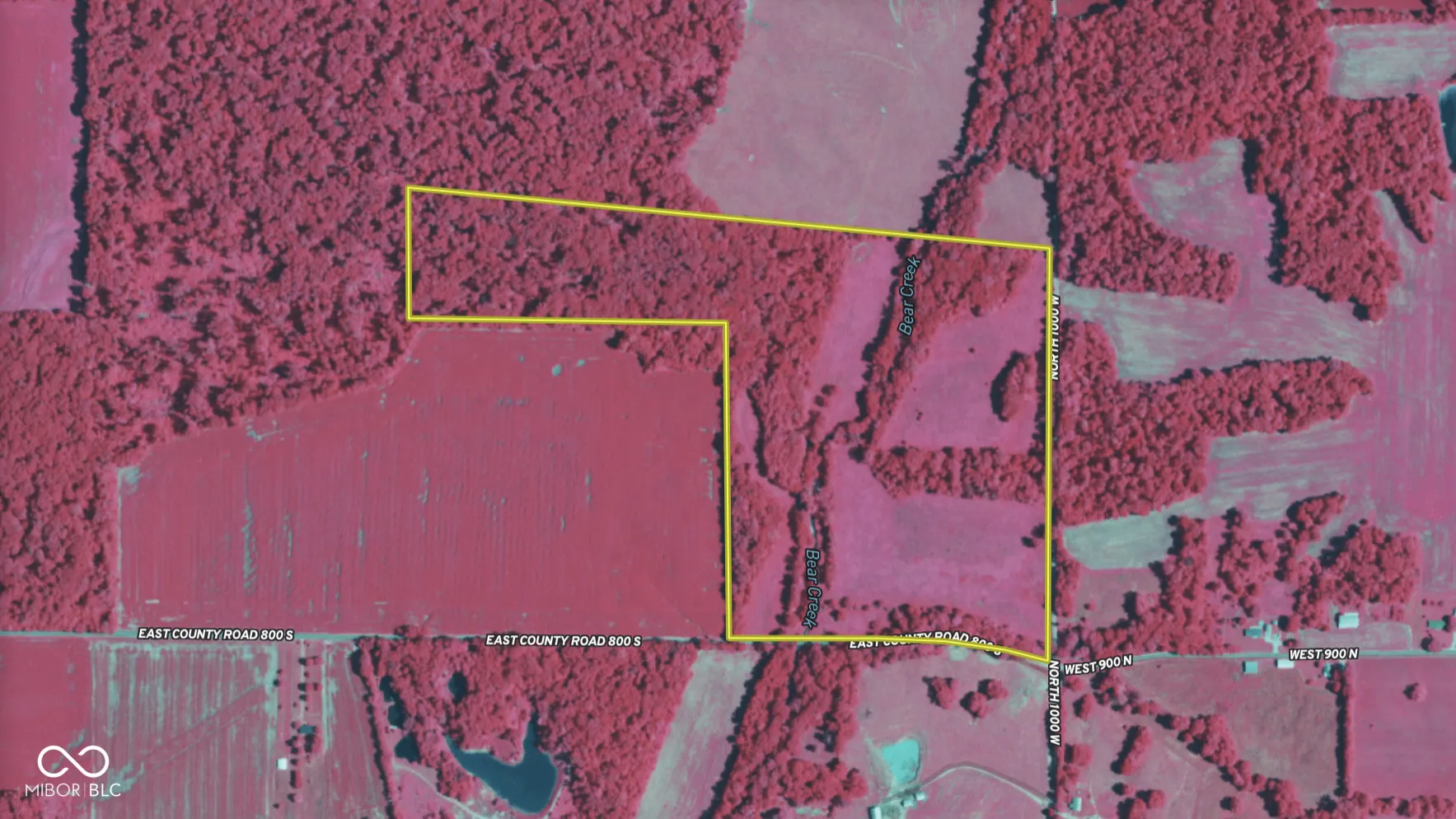
This 73 acre property on the border line of Jennings and Jefferson Counties offers a blend of timber, pasture, water features, and access, making it suitable for multiple uses. The property is being offered as the full 73 acres or divided into two tracts: approximately 25 acres on the west side and approximately 45 acres on the east side. Both portions provide a combination of open ground, wooded acreage, and access to Bear Creek. The farm includes roughly 25 acres of pasture that were previously enrolled in CRP. With the contract expired, these acres are now available for tillage, rental income, hay production, or potential building sites. The remaining acreage includes wooded ground, including a managed panhandle portion enrolled in classified forestry. The timber has been selectively harvested over time, and foresters report that a substantial volume of value remains standing. Bear Creek runs through the center of the property, featuring a stone slab base in many areas. While the creek lies in the floodplain, the higher ground on both sides is outside the waterway and considered buildable. The unique panhandle configuration creates a natural travel corridor for wildlife, producing a strong pinch point that benefits cutting off deer movement. Signs of deer and turkey are consistently found throughout the property, adding value for recreational users. The size and layout of the parcel make it feel larger than a typical rectangular tract, with the northwest and southeast corners approximately 1,100 yards apart. The location places the property within reach of several well-known public outdoor destinations, including Muscatatuck National Wildlife Refuge, Crosley FWA, Big Oaks National Wildlife Refuge, Clifty Falls State Park, and Hardy Lake State Recreation Area. With timber, pasture, creek frontage, and two division options available, this property offers flexibility for buyers seeking recreation, hunting, long-term land investment, and new construction.

  • Address: S County Road 200 E
  • City: Commiskey
  • State/county: IN
  • Zip/Postal Code: 47227
  • Area: No Subdivision

Details

Updated on January 30, 2026 at 1:42 pm
  • Property ID 22074451
  • Price $557,000
  • Land Area 73 Acres
  • Garage Size x x
  • Property Type Land, Farm
  • Property Status Closed

Additional details

  • Listing Terms Sell Entity
  • Sewer Septic Needed
  • County Jennings
  • Property Type Land
  • Middle School Jennings County Middle School
  • High School Jennings County High School
  • Waterfront Creek,Stream,Water Access,Water View

Mortgage Calculator

Contact Information

View Listings
Preeti Chaggar

Enquire About This Property

0 Review

Sort by:
Leave a Review

Leave a Review

Compare listings

Compare