5401 W Deaver Road, Columbus, IN 47201
  • $1,120,000
  • $1,120,000

Description

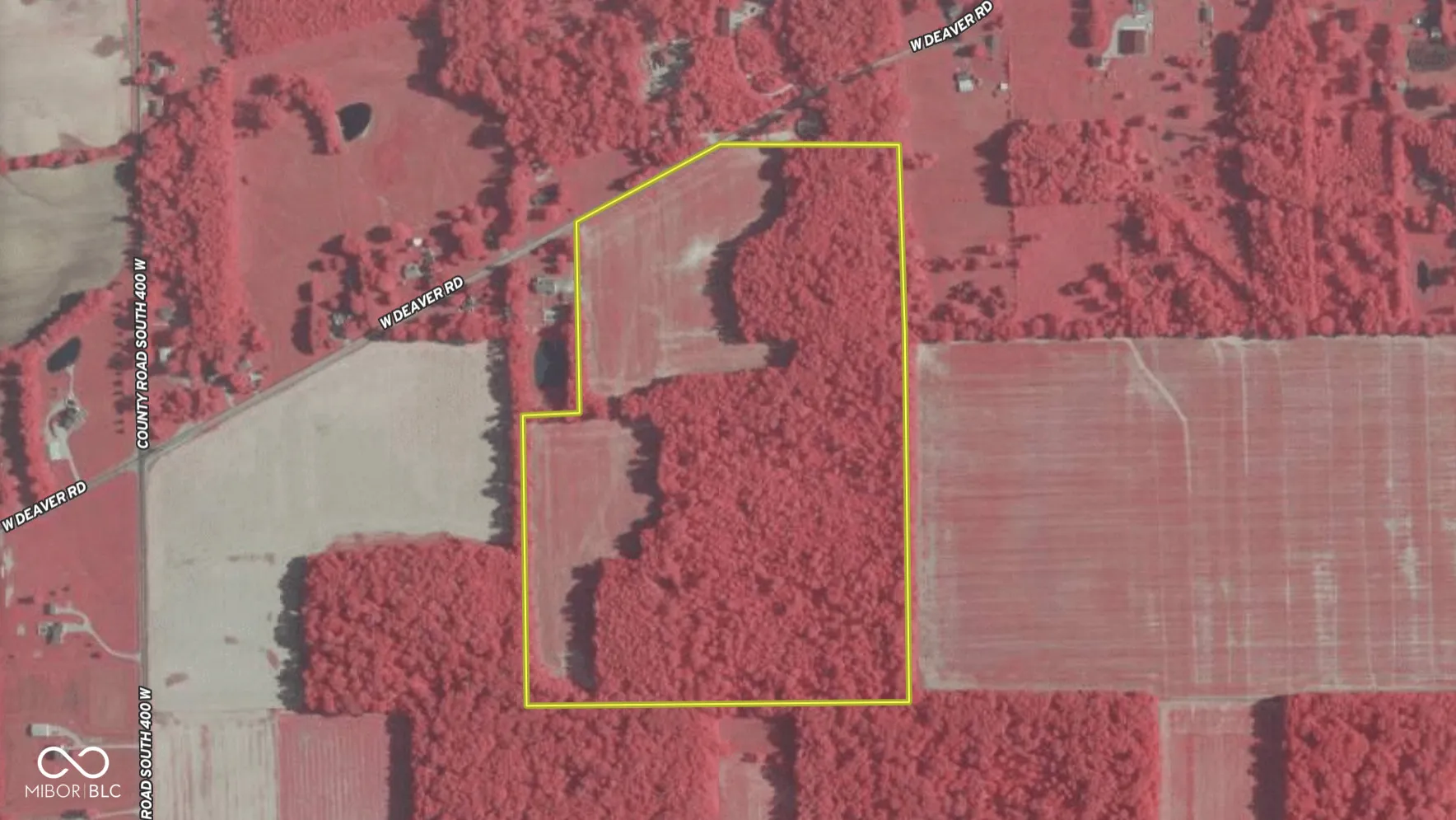
This versatile tract offers a rare combination of development potential, agricultural income, and recreational opportunity in a highly active growth corridor on the south side of the Columbus area. Ideally positioned near Interstate 65 and State Road 58, the property provides strong access for transportation and logistics, making it a viable option for industrial or commercial use. The location is surrounded by several established manufacturing and industrial operations, contributing to continued expansion and demand in the immediate area. The property is not located within a floodplain and carries no known restrictions, allowing flexibility for a wide range of potential uses including industrial, commercial, residential, agricultural, or a mixed-use approach. It is also not located within city limits or a platted subdivision, giving buyers additional freedom when planning future improvements or development. Approximately 21 acres are currently utilized as tillable ground, offering income-producing potential. This acreage may also provide opportunities for agricultural-related tax considerations, and buyers are encouraged to consult with a qualified tax professional regarding their specific situation. The balance of the property includes wooded acreage with mature timber and rolling terrain that supports a healthy wildlife habitat. Deer, turkey, and small game are regularly present, adding recreational value to the property. In addition to its development potential, the land could lend itself to a future project that incorporates natural elements such as green space, trails, or conservation areas. This may appeal to businesses or developers looking to integrate outdoor features into a broader plan. Utilities including electric, water, and sewer are available along the road frontage and are currently utilized by neighboring properties. Buyers should verify availability, capacity, and connection requirements based on their intended use. Located approxim

  • Address: 5401 W Deaver Road
  • City: Columbus
  • State/county: IN
  • Zip/Postal Code: 47201
  • Area: No Subdivision

Details

Updated on April 10, 2026 at 10:44 pm
  • Property ID 22094599
  • Price $1,120,000
  • Land Area 56 Acres
  • Garage Size x x
  • Property Type Land, Farm
  • Property Status Active

Additional details

  • Listing Terms Sell Entity
  • Sewer Public Sewer
  • County Bartholomew
  • Property Type Land

Mortgage Calculator

Contact Information

View Listings
Preeti Chaggar

Enquire About This Property

0 Review

Sort by:
Leave a Review

Leave a Review

Compare listings

Compare