W County Road 500 Tract 1 N , Holton, IN 47023
  • $512,000
  • $512,000

Description

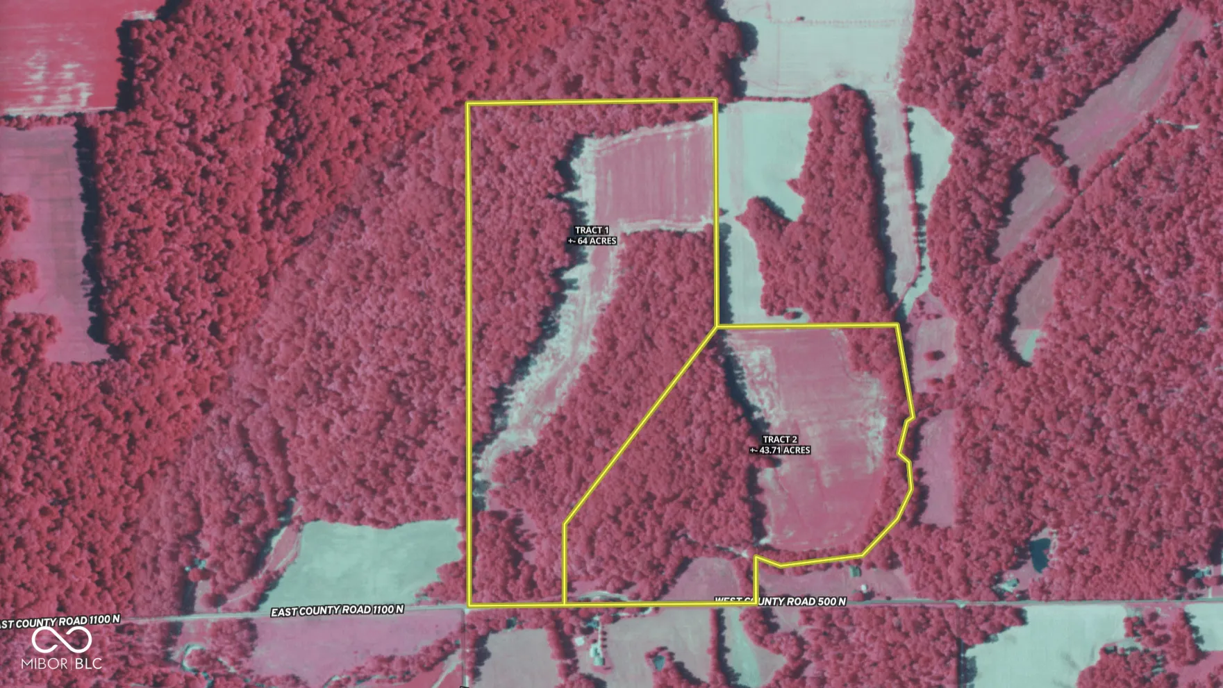
Tract 1 of 2: This +- 64-acre rural tract near Osgood, Indiana, offers a balanced mix of approximately 18 acres of dormant tillable land-left uncultivated for two years-and roughly 46 acres of lightly harvested hardwood forest. The tillable soils consist primarily of silt loams with favorable productivity ratings. Road access is straightforward from County Road 500 North, where the property includes about 500 feet of frontage. Electric and water infrastructure are accessible along the roadside. A recent survey (December 2024) clearly defines the overall acreage and exterior boundaries (not reflecting parcel split). The tract extends roughly 2,700 feet back from the road, yielding a long, private parcel layout. At the rear, a field opens up with minimal visibility from the roadside and very few surrounding homes in sight. The terrain includes a diverse mix of open field, forested edges, trails, and internal access lanes-ideal for low-impact movement, particularly during deer or turkey seasons. This arrangement facilitates quiet ingress and egress, reducing disturbances to wildlife. Importantly, there is no floodplain present on the tract. Potential uses are varied and include new residential construction, small-scale farming or livestock, recreational hunting, or long-term investment. The combination of quality soils, mature timber, utility access, defined boundaries, and a deep, private layout supports a broad range of rural land. Whether pursued as a home site, hunting ground, or investment, this parcel delivers functional flexibility in a quiet Indiana setting. Ripley County is home to Versailles State Park, with over 3,000 acres of forests, trails, and a 230-acre lake for fishing and boating. Nearby, Big Oaks National Wildlife Refuge spans more than 50,000 acres across several counties, offering public hunting, wildlife observation, and habitat for diverse species, enhancing the area’s outdoor recreation appeal.

  • Address: W County Road 500 Tract 1 N
  • State/county: IN
  • Zip/Postal Code: 47023
  • Area: No Subdivision

Details

Updated on February 14, 2026 at 12:28 am
  • Property ID 22056564
  • Price $512,000
  • Land Area 64 Acres
  • Garage Size x x
  • Property Type Land, Farm
  • Property Status Withdrawn

Additional details

  • Listing Terms Sell Entity
  • Sewer Septic Needed
  • County Ripley
  • Property Type Land
  • Elementary School South Ripley Elementary School
  • Middle School South Ripley Junior High School
  • High School South Ripley High School

Mortgage Calculator

Contact Information

View Listings
Preeti Chaggar

Enquire About This Property

0 Review

Sort by:
Leave a Review

Leave a Review

Compare listings

Compare